1000 State Route 12 HighwayWaterville, NY 13480



Mortgage Calculator
Monthly Payment (Est.)
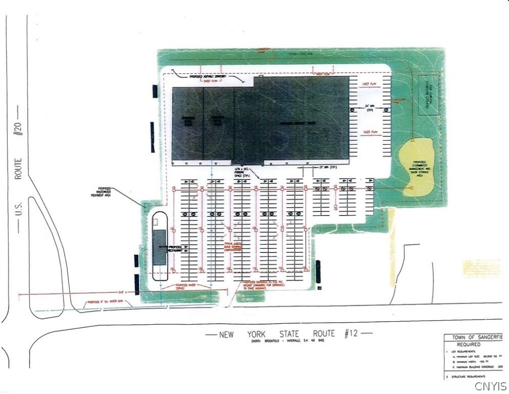
$3,878GREAT Development site 10+/- Acres with 606' frontage on NY Route 12 and frontage on US Route 20 providing ingress & egress to all property.Great site for a Truck Stop.Large house on site can be renovated for office or razed for new development.Property can be expanded.Public water, natural gas,3 Phase.Excellent perk.High Visibility.Property is located at intersection of SR 12 and 4 Lane US Rt 20 in Waterville/Sangerfield.Already approved for construction for 80,000 SF bldg. as well as 3 out parcels with excellent exposure.Flanked by destination fine dining Michaels, Titan Homes Mfg, White's Farm Supply,Webb's Lumber,NAPA Auto and National Grain Silos.Major Truck Route with SR12 running north to Watertown & south to Norwich with all points between & beyond.US Route 20 (Cherry Valley Tpke)runs east to west across NYS.ABILITY TO ENTER AND EXIT FROM NY12 & US Rt20.Oneida Co.,Madison Co.,Otsego Co.,Herkimer Co.,Chenango Co.and well over 40 towns & communities to service.AREA NEEDS:Grocery,Pharmacy,Bank/Credit Union,Fast Food/Coffee Shop with Drive Thru,Truck Stop Diner complete with Gas Station and Truck Care Facility.Developer owned will either Sell or Build.SHOVEL READY Property.
| 4 weeks ago | Price changed to $850,000 | |
| 4 weeks ago | Listing updated with changes from the MLS® | |
| 5 years ago | Status changed to Active | |
| 5 years ago | Listing first seen on site |
The data relating to real estate on this website comes in part from the Internet Data Exchange (IDX) Program of NYSAMLS’s. Real estate listings held by firms other than are marked with the IDX logo and detailed information about them includes the Listing Broker’s Firm Name.
All information deemed reliable but not guaranteed and should be independently verified. All properties are subject to prior sale, change, or withdrawal. Neither the listing broker(s) nor shall be responsible for any typographical errors, misinformation, misprints, and shall be held totally harmless. © Last checked: 2025-12-17 09:08 AM UTC CNYIS, UNYREIS, WNYREIS. All rights reserved.
Cornerpin Realty
Search the most recent property listings
Browse current Ithaca, NY real estate listings including homes, vacant land, and lakefront properties. Find your perfect property in Tompkins County with detailed photos and pricing or view all properties by ZIP code. Updated daily.
Looking for commercial real estate? Ithaca Commercial Real Estate, Syracuse Commercial Real Estate


Did you know? You can invite friends and family to your search. They can join your search, rate and discuss listings with you.